Новости за 17.04.2026
Осенью 2023 года саратовец Михаил Краснов доказал, что российский управленческий талант не знает границ: он триумфально выиграл выборы мэра в колумбийском городе Тунха. В своей кампании Краснов, получивший прозвище Эль Русо, обещал покончить с местной...
Пищевая сода – это не просто ингредиент для выпечки, а настоящая находка для домохозяек. Этот доступный и многофункциональный продукт способен решать множество бытовых задач, о которых вы, возможно, даже не задумывались. Давайте рассмотрим, как сода...
В Штабе общественной поддержки Саратовской области было проведено спортивное мероприятие в рамках Проекта «Фиджитал-турниры для детей и молодёжи «Прорыв в будущее».В отборочных соревнованиях по фиджитал настольному теннису приняли участие студенты...
Специалисты Роспотребнадзора в Красноярском крае раскрывают интересные факты о пшене и пшеничной крупе, подчеркивая их отличия и пользу для здоровья.
Пшеничная крупа: мощный источник энергии
Пшеничная крупа изготавливается из зерен проса и ценится...
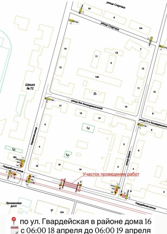
В связи с проведением работ по благоустройству будет временно ограничено движение транспорта:по ул. Гвардейская в районе дома 16с 06:00 18 апреля до 06:00 19 апреляпо ул. Книжная в районе пересечения с ул. Гвардейскойс 20:00 18 апреля до 08:00...
Уважаемые саратовцы!Завтра, 18 апреля, в рамках месячника по благоустройству, объявленного губернатором Саратовской области Романом Бусаргиным, состоится общегородской субботник.Работы пройдут во всех районах города. В этот раз...
Сегодня в рубрике #приумножениерыбныхбогатств представляем вам не просто ценную, а «царскую» рыбу. Она привлекает повышенное внимание учёных и гурманов благодаря своим особенностям. И это стерлядь.Интересные фактыСтерлядь – хищница. При этом без...
Ожидаются геоудары в 6 баллов, сообщает Лаборатория солнечной астрономии ИКИ и ИСЭФ*.Это может вызвать головную боль, бессонницу, слабость, скачки давления. Как пережить геомагнитные возмущения без вреда для здоровья — читайте здесь*...
Кабачки — это не просто овощи, а настоящая находка для домашнего стола. Их низкая цена, богатая питательными веществами составляющие и универсальность делают кабачки идеальным ингредиентом для множества блюд. Жареные, запеченные или тушеные — на...
По предварительным данным, сегодня около 14:10 вблизи с. Елшанка мужчина 1952 года рождения, управляя автомобилем "ЛАДА Нива", допустил наезд на стоящее транспортное средство "ГАЗ 3010". В результате "ГАЗ" совершил наезд на двух мужчин 1978 года...
Пирог с куриной печенью – это не только сытное, но и изысканное блюдо, которое способно удивить даже самых требовательных гурманов. Простой в приготовлении, он станет настоящей находкой для любителей кулинарных экспериментов и тех, кто...
В связи с проведением технических работ временно будут отменены рейсы:с 20:00 17 апреля до 08:00 18 апреля;с 20:00 18 апреля до 08:00 19 апреля;с 20:00 19 апреля до 05:00 20 апреля.20 апреля 2026 года трамваи начнут работу в штатном режиме, согласно...
В мире гастрономии сочетание авокадо и красной рыбы завоевывает популярность благодаря своему неповторимому вкусу и питательным свойствам. Эти бутерброды могут стать идеальной закуской для дружеских встреч или праздничных мероприятий. Их...
20 человек, включая двух детей, эвакуировали, сообщает пресс-служба регионального управления МЧС России.Это случилось в доме на улице Энгельса в городе Балахне. Причиной стала внезапно возникшая глубокая трещина, которая начала...
В отдел полиции обратилась 62-летняя жительница Октябрьского района. 15 апреля сосед, находясь в общем коридоре коммуналки на ул. Дома 8 марта, ударил её, при этом угрожал убийством.По данному факту было возбуждено уголовное дело...
Среди множества блюд, которые можно предложить на торжественном столе, салат с курицей и грибами занимает особое место. Он не только радует глаз, но и поражает своим насыщенным вкусом. Давайте рассмотрим, как приготовить этот лакомый...
Уже через полчаса в эфире телеканала "Саратов 24" выйдет пятый выпуск "Просто шоу", гостем которого в этот раз стала певица и педагог Настя Бострем.Встречаемся на 21-й кнопке в кабельных сетях в 19:00 (смотреть)
В числе основных тем – подготовка города к Радонице.Руководителям профильных служб поручено еще раз проконтролировать состояние подъездов и подходов к кладбищам, а также организацию всей необходимой работы на местах. Отдельное внимание уделили...
Сотрудники комитета по транспорту проводят выездные обследования автобусных маршрутов 6А, 11А, 18А, 8А, 41А, 90А и трамвайных маршрутов 3, 6, 8, 9Д с целью профилактики правонарушений по фактам безбилетного проезда.Выявлено 97 нарушений...






































